В Тихий океан пришел самый мощный в этом году тайфун
05.08.2015 10:44
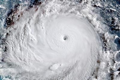
Супертайфун «Суделор» уже признан Совместным центром предупреждения тайфунов самым сильным в этом году. В настоящее время ему уже присвоена максимальная, пятая категория. Порывы ветра в районе тайфуна достигают 354 км/ч.
Зародившись еще 30 июля в тропической зоне Тихого океана шторм проделал уже немалый путь на запад и успел обрушится на Северные Марианские острова. Более всего пострадала столица Сайпан, где порывы ветра достигали 90 м/с. К счастью, обошлось без жертв. Однако 400 человек покинули свои дома, пока им некуда возвращаться — многие здания серьезно пострадали (разрушены или подтоплены). Разбиты десятки машин, повалены деревья. В общей сложности пострадало 50 тысяч жителей.
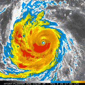
В данное время тропический шторм находится на пути к острову Тайвань на расстоянии около 2 000 км. Такой путь он преодолеет к выходным. Ожидается, что основной удар «Суделор» нанесет по Тайваню в пятницу, при этом «глаз» супертайфуна пройдет над Тайбэйем.
Typhoon Soudelor (international name) hit US territory Saipan last night and may enter PAR within the week. pic.twitter.com/jCqIfE2bbl
— YouScoop (@YouScoop) 3 августа 2015
Ожидается, что тайфун «Суделор» посетит не только Тайвань, но и Японию и Китай.