Архив новостей
-
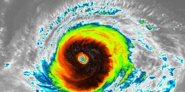
02.08.2017 20:20Видео: Тайфун NORU и ухудшение погоды в Приморье 3-4 августа
-
02.08.2017 17:53Штормовое предупреждение объявлено в Приморье
-
02.08.2017 17:00В выходные во Владивостоке облачно, временами морось
-
02.08.2017 12:05Чем дышал Владивосток с 21 по 31 июля?
-
02.08.2017 10:20Роспотребнадзор рассказал, как правильно выбирать арбузы и дыни
-
01.08.2017 18:022 августа Владивосток отметит День Воздушно-десантных войск
-
01.08.2017 17:49ВЦИОМ оценил уровень счастья россиян
-
01.08.2017 17:36В четырёх российских регионах ввели курортный сбор для туристов
-
01.08.2017 17:19Ростуризм напомнил об опасности путешествий в жаркие страны
-
01.08.2017 15:33В среду во Владивостоке будет облачно, утром местами туман
-
01.08.2017 12:198–10 августа тайфун NORU может выйти на Приморье
-
31.07.2017 15:06Noru усилился до супертайфуна и идёт на Японию
-
31.07.2017 14:39Начало августа во Владивостоке будет тёплым и пасмурным
-
31.07.2017 13:23Завтра в Приморье местами пройдут дожди, возможны грозы
-
31.07.2017 13:09В России приняли закон об отмене норм бесплатного провоза багажа